| 膨胀缩小尖灭复现薄矿脉开采中降低矿石损失贫化的途径 |
膨胀缩小、尖灭复现薄矿脉是属于复杂多变的第Ⅳ勘探类型, 其特点是矿脉厚度沿走向或倾向有时膨胀(厚度一般在0.8~2.0米以上), 有时缩小(厚度一般仅在0.4 ~ 0.6米以下), 甚至尖灭, 尖灭长度有时竟达4.0~ 6.0米以上, 有时又复现。矿脉倾角一般由0°~ 80°左右。围岩一般不够稳固, 局部地段有时出现中等稳固。矿脉一般由不稳固至稳固。例如, 国内某些有色金属和贵重金属以及黑色金属矿山常出现此类复杂多变薄矿脉。
当前, 这些矿山对于此类复杂多变薄矿脉, 由于主要是试验应用支护全面法、长壁崩落法、支护留矿法和充填法开采, 因而存在以下问题:
1.在采用支护全面法或长壁崩落法开采此类缓倾斜薄矿脉时, 不仅支护工作量大和劳动生产率低; 而且由于矿脉复杂多变, 从而难于控制地压和导致较大矿损与贫化。
2.在采用支护留矿法时, 由于矿脉复杂多变, 需要采掘大量废石, 这势必既增加支护工作量, 又会产生较大矿损与贫化。
3.在采用充填法时, 不仅工序复杂, 劳动生产率低, 而且由于矿石易于混入充填料中, 导致较大矿损与变化, 特别由于矿脉的多变性, 在回采过程中常常不是产生充填料不足而影响生产, 就是充填料过剩而加大贫化。
总之, 目前这些矿山在广泛应用现行采矿方法中, 不仅劳动生产率低、回采成本高, 而且矿损与贫化也较大, 特别是对于中小矿山来说, 所造成的后果将更加严重。为此, 研究试验和寻求改进采矿方法, 将具有特殊意义。
为了克服上述采矿方法的缺点, 优化这类复杂多变薄矿脉的开采, 现笔者特提出以下一点意见, 以供采矿界同志们作点滴参考。
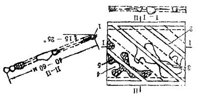
一 走向分段选采崩落法走向分段选采崩落法的特点, 就是在阶段内沿矿脉走向划成走向分段, 然后依次选采分段内矿脉, 残留无工业价值的矿石或废石(5), 采下矿石通过分段内上山(2)运出采场, 采后空区(4)采取人工或自然崩落, 如图 1所示。
![]() |
| 图 1 走向分段选采崩落法示意图 |
采场结构:沿矿脉倾向划成阶段, 其斜长一般为10 ~ 60米, 主要根据矿脉膨胀缩小、尖灭复现的多变性和矿石运搬方法进行确定。在阶段内沿走向划成区段, 走向长度一般为200~300米, 主要取决于矿脉沿走向的总长度及其多变性以及矿山生产能力。在区段内再沿走向划成分段, 走向长度一般为15 ~ 25米, 主要取决于矿脉沿走向的多变性和矿石短距运搬方式。阶段矿柱斜长一般为8~ 10米。
采切布置:此法的采准切割布置比较简单, 一般只有阶段脉内平巷(1)和脉内上山(2)。脉内上山间距一般为15~ 25米, 主要取决于薄矿脉沿走向变化的程度。当变化较大时, 其间距应取小, 反之应相应增大, 以尽可能减少上山掘进工程量。
回采顺序:为了实现强化开采, 一般可以采取多阶段、多区段和多分段同时回采。但是, 相邻阶段和相邻分段工作面务必根据不同具体条件, 相互超前20~30米, 以防止在相互空区崩落中影响生产安全。在分段回采中, 一般宜采取由上而下的回采顺序, 如果遇有上盘围岩较为稳固时, 也可以采取多工作面的全面回采。
采场崩矿:在走向分段回采中, 上山既是采场崩矿的切割工作面, 又是矿石运搬和人行通风的主要通道。采场崩矿就是由此进行追脉崩矿作业。根据澎胀缩小、尖灭复现薄矿脉均变化情况, 见矿石则采掘, 见夹石或废石则残留, 以最大限度地降低矿石贫化率, 进一步提高矿石回采率。采场一般采用浅孔崩矿, 孔深为1.5~2.0米, 孔距为0.8~1.0米。
采场运搬:如果爆破工作面距上山较近, 则爆破矿石可借爆力抛掷入上山内, 如果爆距较远, 有时需要辅以人工搬运。由爆破工作面运入上山内的矿石, 一般可以根据矿脉倾角大小采用相应的装运机或电耙运出采场。
地压控制:在此法中围岩一般不够稳固, 不容许较大暴露面, 因此在选采过程中, 为了避免采场内支护, 应根据各矿段上盘围岩稳固性, 合理选定最大安全暴露面, 以保证回采中顶板的稳固性。如果矿脉膨胀面积较宽, 为了确保回采中的安全生产, 必要时需留相应的保安矿柱, 或采用少量支护或砌筑废石垛等措施。如果遇有较稳上盘, 对某些空区也可以不予处理, 任其嗣后逐渐冒顶。
初步评价:由于此法只利用脉内上山进行采掘矿脉, 而不采围岩或废石, 因此它比一般长壁崩落法, 不仅可以显著地降低支护材料及其费用, 而且可以降低矿石贫化率, 提高矿石出窿品位, 从而可以降低回采成本和进一步提高矿山生产能力。
适用条件:此法一般仅适用于以下条件。(1)上盘围岩一般由不稳固至中等稳固, (2)矿脉厚度一般由0.4~2.0米左右, 特别是当薄矿脉沿倾向膨胀缩小、尖灭复现变化较大时最适用, (3)矿脉倾角一般由0°~ 15°之间。
二 倾针分段选采崩落法倾斜分段选采崩落法的特点, 就是在阶段内沿矿脉走向划成倾斜(即缓倾斜)分段;然后依次选采倾斜分段内矿脉, 而残留夹石或废石(4), 采下矿石通过倾抖分段内上山(2)运出采场, 采后空区(3)可视具体情祝, 任其自然崩落或用人工崩落进行处理(5), 如图 2所示。
![]() |
| 图 2 倾斜分段选采崩落法示意图 |
采场结构:沿矿脉倾向划成阶段, 斜长一般为40~60米, 主要取决于矿脉沿倾向的多变性和矿石运搬方法。在阶段内沿走向划成区段, 走向长度一般为200~300米, 主要取决于矿脉沿走向的多变性和矿山生产能力。在区段内再沿走向划成倾斜分段, 其宽度一般为15~20米, 主要取决于矿脉的多变性和矿石短距运搬方式。阶段矿柱斜长一般为8~10米。
采切布置:采切布置一般只有阶段脉内平巷(1)和脉内伪倾斜上山(2)。脉内伪倾斜上山间距一般为15~20米, 主要取决于膨胀缩小、尖灭复现薄矿脉的多变性。
回采顺序:一般可以采取多阶段和多倾斜分段同时回采, 但是, 相邻阶段和相邻倾斜分段回采工作面必须相互超前20~30米, 以确保安全生产。在倾斜分段回采中, 一般可以根据上盘围岩稳固性和膨胀或复现矿脉的可采面积大小等不同具体条件, 合理选取由上而下或全分段的多工作面同时回采顺序。
采场崩矿:在倾斜分段回采中, 伪倾斜上山既可用作采场崩矿的切割工作面, 又可作为矿石运搬和人行通风的通道。采场崩矿就是由此伪倾斜上山向其两侧进行沿脉采掘, 边采边残留下无工业价值的贫矿或废石。这样, 既可以利用此类极不规则的残留矿柱支撑不稳上盘, 又可以大大降低矿石贫化率。在倾斜分段回采中, 一般采用浅孔崩矿, 炮孔深度为1.5~ 2.0米, 孔距0.8 ~1.0米, 主要取决于矿脉厚度和矿石爆破性及矿脉多变性。
采场运搬:在倾角为15°~25°之间的复杂多变的薄矿脉中, 采用此法时, 可使伪倾斜上山的坡度控制在10°~15°以下, 以适应现代新型无轨运输设备, 大力提高采场出矿能力和回采强度;或者矿脉倾角在25°~35°时, 采用倾斜上山, 以适应电耙出矿。
地压控制:在上盘围岩不够稳固的这类薄矿脉中, 采用此法可以残留下大量不规则岩柱, 这是采场地压有效控制的最好条件。因此在一般情况下, 不再需要人工支护。但是, 当遇有某些矿段的上盘围岩较不稳固或者采后空区较大时, 必要时可以保留局部矿柱或人工支护, 以保证采场回采中的安全生产。在上盘围岩不够稳固时, 采后空区一般可以任其自行冒落, 必要时还可以采取人工强制崩落。
初步评价:采用这种选采崩落法, 既可以大力降低废石采掘量和矿石贫化率, 又可以减少空区总暴露面积和残留岩柱, 有利于采场地压控制, 从而可以进一步降低回采成本和提高矿山生产能力。
适用条件:此法适用条件与前述走向分段选采崩落法相似, 不同之点就是矿脉倾角一般在15°~25°以上。采用此法时, 可以选用现代新型无轨设备或电耙运搬, 以大力提高采场出矿能力。
三 倾向分段选采崩落法倾向分段选采崩落法(图 3)的特点, 就是在阶段内的矿块中, 沿矿脉倾向划成倾向分段;然后依次选采倾向分段内矿脉, 而残留无工业价值的贫矿或废石(4);采下矿石通过分段平巷(2)和天井运出采场;采后空区(3)任其自行冒落或采取强制崩落(5)。
![]() |
| 图 3 倾向分段选采崩落法示意图 |
采场结构:沿矿脉倾向划成阶段, 斜长一般为40~60米, 主要取决于薄矿脉的多变性。在阶段内沿走向划成区段, 走向长度一般为200~300米, 主要取决于矿脉沿走向的总长度及其多变性以及矿山生产能力。在区段内沿走向划成矿块, 走向长度一般为40~ 60米, 主要取决于矿脉沿走向的多变性及矿石运搬方法。在矿块内再沿倾向划成分段, 斜长一般为10~20米, 主要取决于矿脉沿倾向的多变性和矿脉倾角。阶段矿柱斜长一般为8~10米。
采切布置:此法采切布置主要有阶段脉内平巷(1)和天井以及脉内分段平巷(2)。脉内分段平巷间距一般为10~20米, 主要取决于矿脉沿倾向的多变性和上盘围岩的稳固性。
回采顺序:在此法中一般可以采取多阶段、多区段和多矿块以及多分段同时回采。但是, 在相邻阶段和多矿块同时回采中, 其间距离一般应相互超前20 ~ 30米。在矿块回采中, 根据上盘围岩不同稳固性, 各分段一般应该分别采取依次回采或多分段同时回采。在分段回采中, 一般宜采取后退式回采, 如果上盘围岩较为稳固, 也可以在全分段上进行多工作面同时回采, 以加速分段回采速度。
采场崩矿:在倾向分段选采崩落法中, 脉内分段平巷既是采场崩矿前的切割工程, 又是矿石运搬和人行通风的要道。采场崩矿就是由分段平巷向上用浅孔追脉进行采掘, 而将无工业价值的贫矿或废石留作岩柱, 以支撑不稳固上盘围岩。此法中一般采用浅孔崩矿, 炮孔深度和间距主要取决于矿脉多变性及其厚度以及矿石爆破性。
采场运搬:在此法中, 采下矿石一般可以利用矿石自重自行溜入脉内分段平巷。分段平巷内矿石一般可以采用电耙或装运机进行出矿。
地压控制:此法将无工业价值的贫矿或废石留作岩柱, 可以有效地控制上盘围岩的稳固性, 以保证分段回采中的安全生产。为了更有效地控制上盘围岩, 在分段回采过程中, 必须根据具体条件合理选取最大安全暴露面, 有计划地控制空区冒落, 采取必要的人工支护或保留必要的矿柱以及采取封闭等等措施。
初步评价:根据矿脉的膨胀缩小、尖灭复现的特点, 只选采矿脉, 而不采围岩、夹石或废石时, 与现行采矿方法相比, 具有如下优点:(1)减少废石采掘量和不需要大量支护工作量, 从而可以显著降低回采成本;(2)选采矿脉, 不采废石, 可以有效降低矿石贫化率和损失率, 从而可以进一步提高矿石出窿品位;(3)采用倾向分段回采此类复杂多变矿脉一般具有较大的灵活性, 避免了因探矿不清而造成掘进工程的浪费或损失。
适用条件:此法一般适用于以下条件:(1)上盘围岩一般由不稳固至中等稳固;(2)矿脉厚度一般由0.4~2.0米以上, 特别适用于复杂多变的薄矿脉;(3)矿脉倾角一般由25°~80°左右。
结语在国内一些矿山常常出现此类复杂多变薄矿脉, 特别是当上盘围岩又不够稳固或不稳固时, 将给采矿方法的选择带来较大困难。当然, 目前某些矿山对于此类矿脉分别选用长壁崩落法和充填法开采, 甚至少数中小矿山为了降低矿石贫化率和回采成本, 竟然采取乱采乱挖的错误做法, 导致地下有限资源的损失, 并恶化了工作面劳动条件等等。为此, 进一步研究探讨和寻求新的采矿方法, 应是当前矿业开发中急待解决的重要课题。
笔者认为, 合理的采矿方法应当从此类薄矿脉的多变性出发, 研究采取选采方法, 以适应此类复杂多变的特点, 并根据围岩的不稳固性, 又采取相应的崩落方法。这样, 不仅可以大力降低矿损与贫化以及回采成本, 而且可以进一步提高采场生产能力和改善工作面劳动条件。此外, 还必须根据此类矿脉膨胀缩小、尖灭复现的多变性和上盘围岩的不同稳固性, 相应地研究试验和应用走向分段选采崩落法和倾斜分段选采崩落法, 以及倾向分段选采崩落法, 以不断改进此类复杂多变薄矿脉的采矿方法, 进一步降低矿石损失与贫化。
1988, Vol. 2



